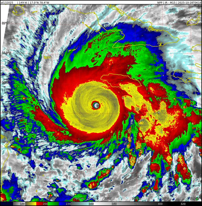
Hurricane Melissa Devastates Caribbean, Death Toll Nears 50 as Region Faces Unprecedented Destruction
Oct 2025 : Hurricane Melissa continued its deadly path through the Caribbean this week, leaving a trail of destruction across several island nations and pushing the death toll to nearly 50, according to official reports on Thursday. The storm, one of the most powerful Atlantic hurricanes ever recorded, intensified rapidly as it moved from the western Caribbean into the North Atlantic, brushing past Bermuda while overwhelming emergency services across multiple countries.

Haiti reported the highest number of casualties, despite not taking a direct hit from the hurricane. Days of relentless rain from the slow-moving system triggered widespread flooding, landslides, and infrastructure collapse. Authorities confirmed at least 30 deaths and said another 20 people were missing. In Petit-Goâve, tragedy struck when a river embankment gave way, killing 23 residents, including ten children. Homes, farms, and roads were washed away, leaving thousands displaced.
Jamaica, which bore the full force of Melissa as it made landfall on Tuesday as a catastrophic Category 5 hurricane, has been left reeling. Information Minister Dana Morris Dixon confirmed 19 deaths, noting that the final number may rise as rescue teams struggle to reach isolated areas. The storm knocked out power to more than 70 percent of the island, uprooted trees, destroyed buildings and blocked over 130 major roadways. The Jamaican military has deployed reserve personnel to support rescue efforts, often clearing debris by foot so ambulances can reach trapped communities.
Satellite images revealed severe damage in western parishes, with entire coastal stretches flattened and vegetation stripped bare. Schools in Kingston and surrounding regions remained closed due to power outages and water shortages. Airports and ports began reopening on Thursday, allowing relief flights to land, though access to several rural communities remains extremely limited.
In Cuba, Melissa’s powerful winds tore off roofs, smashed windows and downed communication networks, while surging waters inundated neighbourhoods already suffering from the country’s worst economic crisis in decades. Cuban authorities reported no deaths as of Thursday but confirmed immense structural damage. Approximately 735,000 people were evacuated from the provinces of Santiago de Cuba, Holguín, and Guantánamo. Residents described scenes of devastation, with one woman from La Trampa saying, “We were already going through tremendous hardship. Now, of course, we are much worse off.”
The Bahamas, where the hurricane passed overnight Wednesday, lifted its storm warning but has not issued an all-clear. Authorities said a decision on allowing evacuees to return home will be made by Saturday. The country reopened its main airport on Thursday, along with the capital’s seaport, allowing aid shipments to resume.
By late Thursday, the U.S. National Hurricane Center reported Melissa as a strong Category 2 hurricane located 264 kilometres west of Bermuda, with sustained winds of 161 kilometres per hour. Bermuda, under a hurricane warning, prepared for high winds and rough seas, though officials expect the storm to remain a safe distance from the island. Schools, ferries, and the causeway were closed as precautionary measures.
International assistance began mobilizing rapidly. The United States deployed disaster response teams and urban search-and-rescue units to the Bahamas, Jamaica, and the Dominican Republic, with teams en route to Haiti. Secretary of State Marco Rubio said Washington was also prepared to offer humanitarian assistance to Cuba. The United Kingdom announced £2.5 million in emergency funding and began arranging limited evacuation flights for British nationals stranded in the region.
Scientists and regional leaders warned that Hurricane Melissa exemplifies the growing threat of climate-related disasters. AccuWeather estimated economic losses across the western Caribbean at between $48 billion and $52 billion, with Jamaica suffering the worst damage. Meteorologists noted Melissa’s extreme intensity was four times more likely because of human-driven climate change, a conclusion supported by a rapid-analysis study by Imperial College London. The hurricane tied the 1935 record for the most intense storm ever to make landfall in the Caribbean.
Caribbean leaders renewed calls for climate compensation from wealthy nations, urging faster release of funds from the UN’s 2023 disaster finance mechanism, which has so far fallen short of its targets. UN Climate Change Executive Secretary Simon Stiell said the storm was “a brutal reminder of the urgent need to step up climate action on all fronts.”
With communications down, transport links crippled, and thousands in shelters, the full scale of destruction caused by Hurricane Melissa may take days—or even weeks—to assess. Rescue and recovery operations continue across the Caribbean, as nations brace for the long and difficult rebuilding process ahead.
Team Maverick.
From National Leadership to Global Excellence: Punjab Government Launches Mission Samarth 2026–27 with Attendance Reforms
Chandigarh, April 2026 : To take Punjab’s education revolution to the next phase, Educatio…








